
Eise Eisingastraat 17
Visvliet
contact met
Bruining en De Reus
| 0594 55 43 55 | |
| leek@bruiningdereus.nl | |
| 06 8281 0106 | |
| Boveneind 20, 9351 AP Leek | |
| bruiningdereus.nl |
Karakterestiek vrijstaand woonhuis
Bent u op zoek naar een sfeervolle en goed onderhouden woning in het pittoreske Visvliet? Dan is dit uw kans! Aan de rand van het dorp staat aan de Eise Eisingastraat 17 deze prachtige woning die perfect is voor zowel starters als gezinnen. Geniet van de rust en ruimte van het dorp, met alle voorzieningen op relatief korte afstand.
Indeling:
Begane grond: binnenkomst via de hal met toegang tot de sfeervolle woonkamer met o.a. balkenplafond en houtkachel, eetkeuken met keuken voorzien van diverse inbouwapparatuur, tussenhal/achterentree, toiletruimte, slaapkamer en royale badkamer.
Eerste verdieping: overloop, drie kamers, bergruimte.
Bijgebouwen: vrijstaande garage.
Buitenruimte:
De woning beschikt over een achtertuin met een gezellig terras waar u heerlijk kunt ontspannen en genieten van de buitenlucht. De tuin is onderhoudsvriendelijk aangelegd en biedt voldoende privacy. Tevens is er een vrijstaande garage aanwezig.
Bijzonderheden:
- de woning beschikt over 11 zonnepanelen
- verwarming middels centrale verwarming;
- rustige buurt;
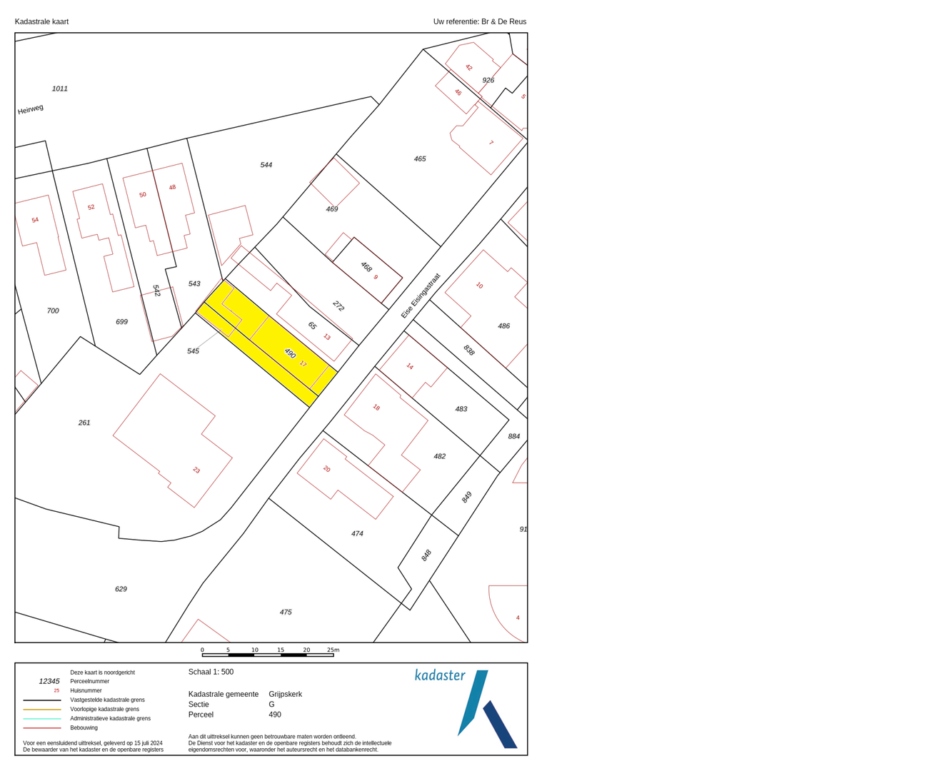
- perceel 209 m2 eeuwig durende grondpacht via Pastorie en Kosterij (€ 0,26 per jaar);
- op relatief korte afstand van voorzieningen en uitvalswegen
- woonoppervlakte begane grond 74 m2 en op de verdieping 26 m2 de hoogte van de 1e verdieping is een paar cm te laag om formeel als woonoppervlakte gerekend te worden maar door dubbele dakkapel is deze verdieping prima te gebruiken.
Bent u geïnteresseerd in een bezichtiging van deze mooie woning? Neem dan contact op met ons kantoor voor het maken van een afspraak. We laten u graag alle mogelijkheden zien die deze woning te bieden heeft.
Neem vandaag nog contact op en maak van Eise Eisingastraat 17 uw nieuwe thuis!
Bent u op zoek naar een sfeervolle en goed onderhouden woning in het pittoreske Visvliet? Dan is dit uw kans! Aan de rand van het dorp staat aan de Eise Eisingastraat 17 deze prachtige woning die perfect is voor zowel starters als gezinnen. Geniet van de rust en ruimte van het dorp, met alle voorzieningen op relatief korte afstand.
Indeling:
Begane grond: binnenkomst via de hal met toegang tot de sfeervolle woonkamer met o.a. balkenplafond en houtkachel, eetkeuken met keuken voorzien van diverse inbouwapparatuur, tussenhal/achterentree, toiletruimte, slaapkamer en royale badkamer.
Eerste verdieping: overloop, drie kamers, bergruimte.
Bijgebouwen: vrijstaande garage.
Buitenruimte:
De woning beschikt over een achtertuin met een gezellig terras waar u heerlijk kunt ontspannen en genieten van de buitenlucht. De tuin is onderhoudsvriendelijk aangelegd en biedt voldoende privacy. Tevens is er een vrijstaande garage aanwezig.
Bijzonderheden:
- de woning beschikt over 11 zonnepanelen
- verwarming middels centrale verwarming;
- rustige buurt;
- perceel 209 m2 eeuwig durende grondpacht via Pastorie en Kosterij (€ 0,26 per jaar);
- op relatief korte afstand van voorzieningen en uitvalswegen
- woonoppervlakte begane grond 74 m2 en op de verdieping 26 m2 de hoogte van de 1e verdieping is een paar cm te laag om formeel als woonoppervlakte gerekend te worden maar door dubbele dakkapel is deze verdieping prima te gebruiken.
Bent u geïnteresseerd in een bezichtiging van deze mooie woning? Neem dan contact op met ons kantoor voor het maken van een afspraak. We laten u graag alle mogelijkheden zien die deze woning te bieden heeft.
Neem vandaag nog contact op en maak van Eise Eisingastraat 17 uw nieuwe thuis!
Over dit object
Overdracht
| Status | verkocht |
|---|---|
| Prijs | € 260.000 k.k. |
Bouw
| Bouwjaar | 1900 |
|---|---|
| Bouwvorm | bestaande bouw |
| Type Object | Woonhuis |
| Hoofdfunctie | Woonruimte |
Indeling
| Woonoppervlakte | 100 m² |
|---|---|
| Perceeloppervlakte | 208 m² |
| Woning Inhoud | 392 m³ |
| Kamers | 5 (4 slaapkamers) |
Energie
| Energielabel | D |
|---|

























































































