
De Koppel Paarden 25
Marum
contact met
Bruining en De Reus
| 0594 55 43 55 | |
| leek@bruiningdereus.nl | |
| 06 8281 0106 | |
| Boveneind 20, 9351 AP Leek | |
| bruiningdereus.nl |
Moderne vrijstaande woning met karakter en ruimte, vrijstaande garage en luxe buitenruimte!
Bent u op zoek naar een instapklare, energiezuinige woning met veel leefruimte op de begane grond en een stijlvolle afwerking? Dan is De Koppel Paarden 25 in Marum precies wat u zoekt! Deze vrijstaande woning uit 2016 combineert moderne architectuur met warme accenten en biedt alles wat u nodig heeft voor comfortabel wonen, zowel binnen als buiten.
Wonen in Marum – groen, rustig en toch centraal
Deze woning ligt in een rustige, kindvriendelijke buurt in het geliefde Marum. Alle dagelijkse voorzieningen van scholen tot winkels en sportverenigingen zijn nabij. Dankzij de snelle verbinding met de A7 bent u binnen 30 minuten in Groningen of Drachten.
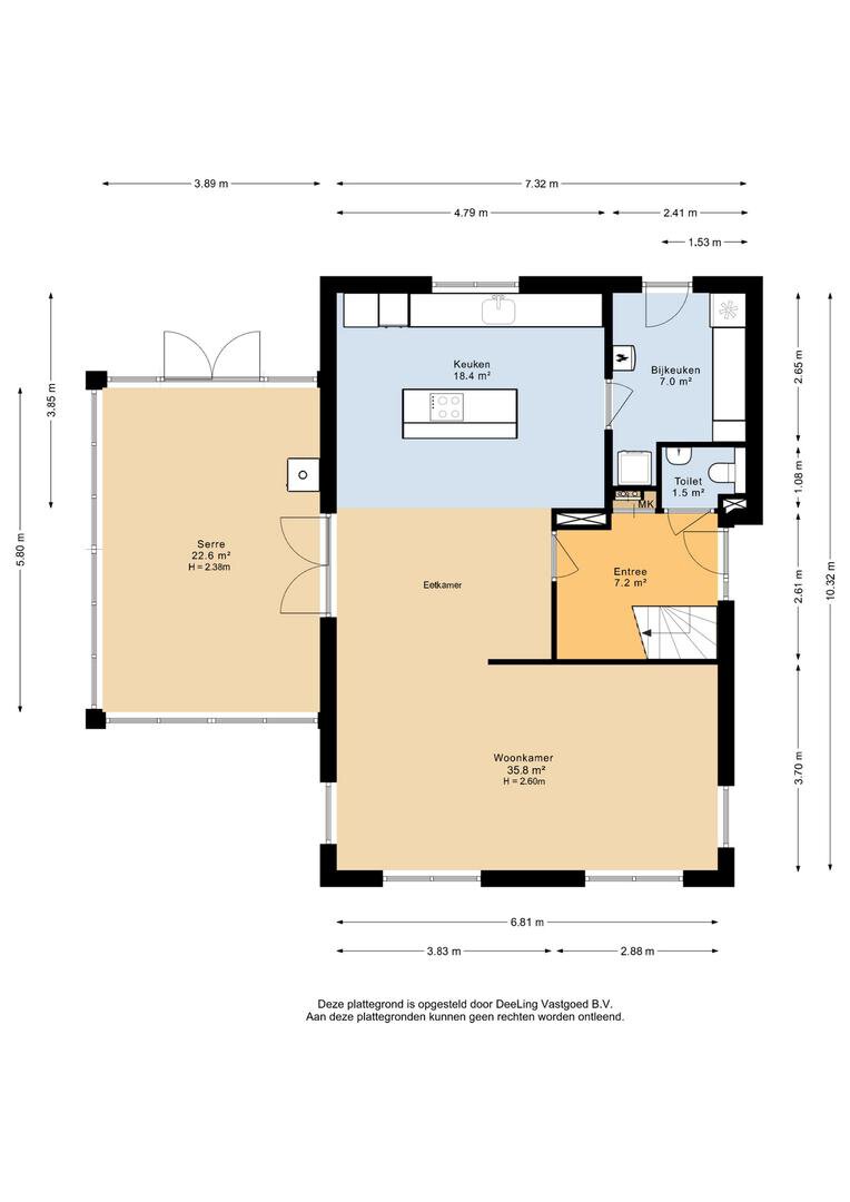
Begane grond: bij binnenkomst valt direct de royale en lichte woonkamer (ca. 36 m²) op, voorzien van een strakke PVC vloer en vloerverwarming . De open keuken (ca. 18 m²) is een echte eyecatcher: uitgerust met een luxe kookeiland, moderne inbouwapparatuur en een plafondafzuiging. Ideaal voor wie van koken én gezelligheid houdt. In 2022 is de ruime serre (ca. 22 m²) aangebouwd waar je heerlijk rustig kunt zitten bij de sfeervolle gaskachel en vrij uitzicht hebt over het groen. Tevens is er een airco aanwezig in de serre om te verwarmen en die de hele benedenverdieping zomers kan koelen. Vanuit de keuken is de bijkeuken bereikbaar met witgoedaansluiting en entree naar de besloten achtertuin.
Eerste verdieping: via de overloop zijn zijn de drie slaapkamers te bereiken van respectievelijk 10 m², 10 m² en 19 m², stuk voor stuk licht en praktisch ingedeeld. Perfect als master bedroom, kinderkamers, werkkamer of hobbyruimte.
Zolder: via de vlizotrap is de ruime zolderberging bereikbaar.
BUITENRUIMTE
De fraai aangelegde tuin rondom de woning is met zorg onderhouden. De berging met ruime overkapping aan de achterzijde nodigt uit tot lange avonden buiten, ongeacht het seizoen. Daarnaast beschikt het perceel over een ruime vrijstaande stenen garage met overkapping én een aparte bergruimte op de eerste verdieping, ideaal voor opslag of hobbyruimte.
Energielabel A: dankzij 16 zonnepanelen, volledige isolatie en HR++ glas, profiteer je van een lage energierekening en veel comfort.
GOED OM TE WETEN
- bouwjaar 2016 – instapklaar en uitstekend onderhouden;
- energielabel A – duurzaam en energiezuinig;
- begane grond en badkamer voorzien van vloerverwarming;
- serre voorzien van gaskachel en airco (koelen en verwarmen);
- luxe keuken met kookeiland en plafondafzuiging;
- buitenschilderwerk is uitgevoerd in 2023;
- vrijstaande stenen garage (2019) van 31 m² + overkapping en zolder van ca. 40 m²;
- fraai aangelegde tuin met berging en royale overkapping;
- gelegen in een rustige, groene woonomgeving;
- aanvaarding in overleg;
Nieuwsgierig geworden?
Deze woning moet u echt van binnen zien! Neem contact met ons op voor een bezichtiging – wij laten u graag alle pluspunten van De Koppel Paarden 25 in Marum persoonlijk ervaren.
Bent u op zoek naar een instapklare, energiezuinige woning met veel leefruimte op de begane grond en een stijlvolle afwerking? Dan is De Koppel Paarden 25 in Marum precies wat u zoekt! Deze vrijstaande woning uit 2016 combineert moderne architectuur met warme accenten en biedt alles wat u nodig heeft voor comfortabel wonen, zowel binnen als buiten.
Wonen in Marum – groen, rustig en toch centraal
Deze woning ligt in een rustige, kindvriendelijke buurt in het geliefde Marum. Alle dagelijkse voorzieningen van scholen tot winkels en sportverenigingen zijn nabij. Dankzij de snelle verbinding met de A7 bent u binnen 30 minuten in Groningen of Drachten.
Begane grond: bij binnenkomst valt direct de royale en lichte woonkamer (ca. 36 m²) op, voorzien van een strakke PVC vloer en vloerverwarming . De open keuken (ca. 18 m²) is een echte eyecatcher: uitgerust met een luxe kookeiland, moderne inbouwapparatuur en een plafondafzuiging. Ideaal voor wie van koken én gezelligheid houdt. In 2022 is de ruime serre (ca. 22 m²) aangebouwd waar je heerlijk rustig kunt zitten bij de sfeervolle gaskachel en vrij uitzicht hebt over het groen. Tevens is er een airco aanwezig in de serre om te verwarmen en die de hele benedenverdieping zomers kan koelen. Vanuit de keuken is de bijkeuken bereikbaar met witgoedaansluiting en entree naar de besloten achtertuin.
Eerste verdieping: via de overloop zijn zijn de drie slaapkamers te bereiken van respectievelijk 10 m², 10 m² en 19 m², stuk voor stuk licht en praktisch ingedeeld. Perfect als master bedroom, kinderkamers, werkkamer of hobbyruimte.
Zolder: via de vlizotrap is de ruime zolderberging bereikbaar.
BUITENRUIMTE
De fraai aangelegde tuin rondom de woning is met zorg onderhouden. De berging met ruime overkapping aan de achterzijde nodigt uit tot lange avonden buiten, ongeacht het seizoen. Daarnaast beschikt het perceel over een ruime vrijstaande stenen garage met overkapping én een aparte bergruimte op de eerste verdieping, ideaal voor opslag of hobbyruimte.
Energielabel A: dankzij 16 zonnepanelen, volledige isolatie en HR++ glas, profiteer je van een lage energierekening en veel comfort.
GOED OM TE WETEN
- bouwjaar 2016 – instapklaar en uitstekend onderhouden;
- energielabel A – duurzaam en energiezuinig;
- begane grond en badkamer voorzien van vloerverwarming;
- serre voorzien van gaskachel en airco (koelen en verwarmen);
- luxe keuken met kookeiland en plafondafzuiging;
- buitenschilderwerk is uitgevoerd in 2023;
- vrijstaande stenen garage (2019) van 31 m² + overkapping en zolder van ca. 40 m²;
- fraai aangelegde tuin met berging en royale overkapping;
- gelegen in een rustige, groene woonomgeving;
- aanvaarding in overleg;
Nieuwsgierig geworden?
Deze woning moet u echt van binnen zien! Neem contact met ons op voor een bezichtiging – wij laten u graag alle pluspunten van De Koppel Paarden 25 in Marum persoonlijk ervaren.
Over dit object
Overdracht
| Status | verkocht |
|---|---|
| Prijs | € 649.000 k.k. |
Bouw
| Bouwjaar | 2016 |
|---|---|
| Bouwvorm | bestaande bouw |
| Type Object | Woonhuis |
| Hoofdfunctie | Woonruimte |
Indeling
| Woonoppervlakte | 153 m² |
|---|---|
| Perceeloppervlakte | 690 m² |
| Woning Inhoud | 571 m³ |
| Kamers | 4 (3 slaapkamers) |
Energie
| Energielabel | A |
|---|












































































































