
Wissingehof 23
Leek
contact met
Bruining en De Reus
| 0594 55 43 55 | |
| leek@bruiningdereus.nl | |
| 06 8281 0106 | |
| Boveneind 20, 9351 AP Leek | |
| bruiningdereus.nl |
Speelse hoekwoning gelegen in groene woonomgeving!
Aan het autoluwe gedeelte van de groene Wissingehof staat deze uitgebouwde hoekwoning uit 1973. Een huis met karakter, licht en een verrassende indeling. Als gevolg van een aanbouw aan de zijkant is er op beidde verdiepingen extra woonruimte toegevoegd. Op begane grond is hierdoor een heerlijk ruime living ontstaan (ca. 60 m²) die als gevolg van een klein niveauverschil en de verbinding met de werkruimte op de vide gelijk het label 'speels' kan dragen. Ook de royale raampartijen aan de voor- en achterzijde zorgen voor een prettige ruimtelijkheid en een direct contact met de tuin. Vanuit de open keuken met gezellige bar is er 'verbinding' met alle hoeken van de kamer waardoor dit ideaal is om tijdens het kokerellen contact te houden met alle aanwezigen.
Hier woont u rustig, omringd door groen, met alle voorzieningen van Leek en Tolbert binnen handbereik.
Indeling
Begane grond: Hal/entree met toilet en meterkast; living verdeelt in eethoek, zithoek en keuken. Het hoogteverschil geeft de ruimte een speels karakter en zorgen tegelijkertijd voor een open en ruimtelijk gevoel. De eethoek aan de voorzijde van de woning is erg ruimtelijk als gevolg van de zichtlijn naar de vide. De tuingerichte woonkamer geniet van veel daglicht dankzij de grote raampartijen en de brede schuifpui naar de tuin. De houten balken en de houtkachel geven de ruimte een warme, huiselijke sfeer.
De open keuken is voorzien van een kwalitatief hoogwaardig, doch smaakgevoelige opstelling van Siematic en beslaat zo'n 10 m². De keuken is voorzien van onder andere een inductiekookplaat en staat in direct contact met de woonkamer, wat het geheel tot een prettige leefruimte maakt. Aansluitend bevindt zich een praktische berging van circa 4 m² met toegang tot een witgoedkast en trapkast, ideaal voor voorraad, huishoudelijke apparatuur of extra opslag.
Verdieping: Overloop; 2 slaapkamers (ca. 11 en 12 m²) en een grote en een kleine badkamers. De grote badkamer (ca 6 m²) is voorzien van een ligbad en een royaal badmeubel met een dubbele wastafel. De kleine badkamer beschikt over een toilet en douche.
Tevens is er toegang tot een werk-/kantoorruimte die in open verbinding staat met de woonkamer. Uiteraard is het ook mogelijk om deze ruimte volledig af te sluiten en als extra kamer in te richten.
Tuin en buitenruimte
Zowel vanuit de keuken als vanuit de woonkamer is er toegang tot de tuin. De tuin is rond de woning gelegen, biedt volop beschutting en heeft meerdere plekken om zowel van de zon als van de schaduw te genieten. Dankzij de hoekligging ervaar je hier extra privacy en rust. Daarnaast is er een externe berging aanwezig van circa 6 m² welke is voorzien van elektra, ideaal voor fietsen en/of tuingereedschap.
Goed om te weten:
- Bouwjaar 1973, uitbouw 1979;
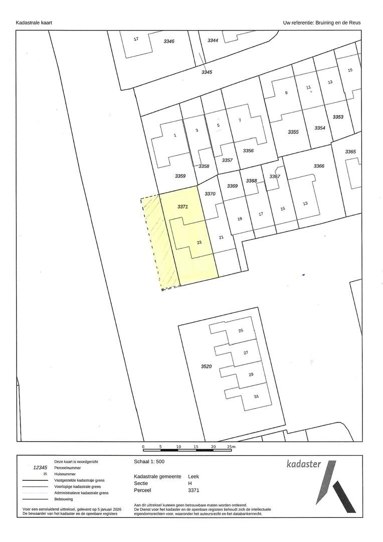
- Woonoppervlak 126½ m²;
- Perceel oppervlak 298 m² + 105m² in bruikleen van gemeente;
- Verwarming en warm water via CV-combiketel (Remeha, 2019, huur);
- Glasvezelaansluiting aanwezig;
- Energielabel D;
- Gelegen aan voetpad, parkeergelegenheid in de directe nabijheid;
- Voor de koper is nog € 4.000,- SNN-subsidie t.b.v. woningverduurzaming/-verbetering beschikbaar;
- Nulmetingrapport bevingsschade (ca. € 1.750,-) aanwezig;
- De aanvaarding is in overleg, maar kan desgewenst snel plaatsvinden.
Kortom: een karaktervolle woning met licht, ruimte en een zeer rustige ligging in een groene woonomgeving — een aangename plek om thuis te komen. De woning is met zorg bewoond en onderhouden en biedt een solide basis voor modernisering naar het comfort en de woonwensen van nu.
Wil je zelf de speelse indeling, de ruimte en de potentie ervaren?
Neem dan contact op met Bruining & De Reus Makelaars voor een bezichtiging. We laten je deze woning graag zien!
Aan het autoluwe gedeelte van de groene Wissingehof staat deze uitgebouwde hoekwoning uit 1973. Een huis met karakter, licht en een verrassende indeling. Als gevolg van een aanbouw aan de zijkant is er op beidde verdiepingen extra woonruimte toegevoegd. Op begane grond is hierdoor een heerlijk ruime living ontstaan (ca. 60 m²) die als gevolg van een klein niveauverschil en de verbinding met de werkruimte op de vide gelijk het label 'speels' kan dragen. Ook de royale raampartijen aan de voor- en achterzijde zorgen voor een prettige ruimtelijkheid en een direct contact met de tuin. Vanuit de open keuken met gezellige bar is er 'verbinding' met alle hoeken van de kamer waardoor dit ideaal is om tijdens het kokerellen contact te houden met alle aanwezigen.
Hier woont u rustig, omringd door groen, met alle voorzieningen van Leek en Tolbert binnen handbereik.
Indeling
Begane grond: Hal/entree met toilet en meterkast; living verdeelt in eethoek, zithoek en keuken. Het hoogteverschil geeft de ruimte een speels karakter en zorgen tegelijkertijd voor een open en ruimtelijk gevoel. De eethoek aan de voorzijde van de woning is erg ruimtelijk als gevolg van de zichtlijn naar de vide. De tuingerichte woonkamer geniet van veel daglicht dankzij de grote raampartijen en de brede schuifpui naar de tuin. De houten balken en de houtkachel geven de ruimte een warme, huiselijke sfeer.
De open keuken is voorzien van een kwalitatief hoogwaardig, doch smaakgevoelige opstelling van Siematic en beslaat zo'n 10 m². De keuken is voorzien van onder andere een inductiekookplaat en staat in direct contact met de woonkamer, wat het geheel tot een prettige leefruimte maakt. Aansluitend bevindt zich een praktische berging van circa 4 m² met toegang tot een witgoedkast en trapkast, ideaal voor voorraad, huishoudelijke apparatuur of extra opslag.
Verdieping: Overloop; 2 slaapkamers (ca. 11 en 12 m²) en een grote en een kleine badkamers. De grote badkamer (ca 6 m²) is voorzien van een ligbad en een royaal badmeubel met een dubbele wastafel. De kleine badkamer beschikt over een toilet en douche.
Tevens is er toegang tot een werk-/kantoorruimte die in open verbinding staat met de woonkamer. Uiteraard is het ook mogelijk om deze ruimte volledig af te sluiten en als extra kamer in te richten.
Tuin en buitenruimte
Zowel vanuit de keuken als vanuit de woonkamer is er toegang tot de tuin. De tuin is rond de woning gelegen, biedt volop beschutting en heeft meerdere plekken om zowel van de zon als van de schaduw te genieten. Dankzij de hoekligging ervaar je hier extra privacy en rust. Daarnaast is er een externe berging aanwezig van circa 6 m² welke is voorzien van elektra, ideaal voor fietsen en/of tuingereedschap.
Goed om te weten:
- Bouwjaar 1973, uitbouw 1979;
- Woonoppervlak 126½ m²;
- Perceel oppervlak 298 m² + 105m² in bruikleen van gemeente;
- Verwarming en warm water via CV-combiketel (Remeha, 2019, huur);
- Glasvezelaansluiting aanwezig;
- Energielabel D;
- Gelegen aan voetpad, parkeergelegenheid in de directe nabijheid;
- Voor de koper is nog € 4.000,- SNN-subsidie t.b.v. woningverduurzaming/-verbetering beschikbaar;
- Nulmetingrapport bevingsschade (ca. € 1.750,-) aanwezig;
- De aanvaarding is in overleg, maar kan desgewenst snel plaatsvinden.
Kortom: een karaktervolle woning met licht, ruimte en een zeer rustige ligging in een groene woonomgeving — een aangename plek om thuis te komen. De woning is met zorg bewoond en onderhouden en biedt een solide basis voor modernisering naar het comfort en de woonwensen van nu.
Wil je zelf de speelse indeling, de ruimte en de potentie ervaren?
Neem dan contact op met Bruining & De Reus Makelaars voor een bezichtiging. We laten je deze woning graag zien!
Over dit object
Overdracht
| Status | beschikbaar |
|---|---|
| Prijs | € 325.000 k.k. |
Bouw
| Bouwjaar | 1973 |
|---|---|
| Bouwvorm | bestaande bouw |
| Type Object | Woonhuis |
| Hoofdfunctie | Woonruimte |
Indeling
| Woonoppervlakte | 127 m² |
|---|---|
| Perceeloppervlakte | 298 m² |
| Woning Inhoud | 448 m³ |
| Kamers | 4 (2 slaapkamers) |
Energie
| Energielabel | D |
|---|







































































































