
Lagestraat 10
Loppersum
contact met
Riant Makelaars Bedum
| 050 301 3775 | |
| bedum@riantmakelaars.nl | |
| De Vlijt 6 C, 9781 NR Bedum |
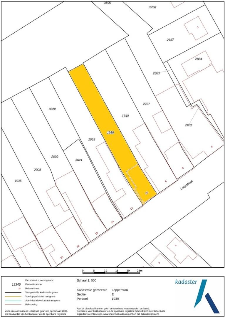
Aan de Lagestraat 10, midden in het sfeervolle centrum van Loppersum, staat deze in 2025 opgeleverde vrijstaande nieuwbouwwoning. Een huis waarin het historische dorpsbeeld en hedendaags wooncomfort naadloos samenkomen. Met een perceel van maar liefst 508 m², een woonoppervlakte van 133 m² en een volledig duurzame uitvoering (gasloos, warmtepomp, vloerverwarming en zonnepanelen) woon je hier ruim, licht en energiezuinig.
Ligging
De woning staat op een bijzondere plek, midden in het beschermde dorpsgezicht van Loppersum. Aan de voorzijde kijk je uit op Villa Zuidven en het grachtje van de Schipsloot; om de hoek staat de karakteristieke 11e-eeuwse Lopster toren. Alle dagelijkse voorzieningen liggen op loopafstand: winkels, supermarkt, basisschool, kinderopvang, huisarts, tandarts én het gemeentehuis. Ook het zoutwaterbad KP Zijl bevindt zich vlakbij. Loppersum is uitstekend bereikbaar met trein, bus en auto — Groningen ligt op nog geen twintig minuten afstand.
Architectuur en afwerking
Het ontwerp sluit fraai aan bij de klassieke uitstraling van het dorp: een karakteristieke rode bakstenen gevel, gecombineerd met een zwart pannendak. De achterzijde verrast met Douglas-houten gevelbekleding, waardoor de woning een moderne twist krijgt. Binnen is gekozen voor een rustige, lichte afwerking met scanbehang in RAL 9002, witte paneeldeuren en een strak geschilderde trap.
Indeling
Begane grond: Via de zij-entree kom je binnen in een ruime hal met een open verbinding naar zowel de woonkamer als de woonkeuken. De centrale bijkeuken/tussenhal is praktisch ingedeeld met een separaat toilet, witgoedaansluitingen, technische installaties en schuifdeuren.
De tuingerichte woonkeuken vormt het hart van de woning: een vide van bijna 6 meter hoog, veel licht door de dakramen en openslaande deuren naar de tuin. De moderne IKEA-keuken is uitgevoerd in stijlvol groen met een zwart composieten werkblad en voorzien van diverse inbouwapparatuur.
De riante woonkamer aan de straatzijde (ca. 42 m²) heeft grote ramen en biedt een prettig uitzicht. Dankzij de open structuur is er ook vanuit de woonkamer contact met de keuken en zicht op de tuin.
Eerste verdieping: De open opzet van de begane grond zet zich voort op de verdieping. Vanaf de overloop kijk je weer richting de centrale hal. De badkamer, gelegen in de middenkolom van het huis, is smaakvol vormgegeven in zand-, witte en mintgroene tinten en uitgerust met een ruime inloopdouche, ligbad, wastafelmeubel en toilet. Het raam met doorkijk naar de vide zorgt voor extra licht en een bijzonder ruimtelijk gevoel.
De twee ruime slaapkamers (ca. 14 en 16 m²) liggen aan de voorzijde en beschikken over hoge plafonds en dakramen. Uiteraard is het mogelijk om de grote slaapkamer op te delen.
Buitenruimte
De diepe achtertuin — in totaal circa 50 meter — ligt op het noorden en biedt volop mogelijkheden voor een eigen invulling. Of je nu droomt van een veranda, siertuin, vijver, terras of veel groen: de ruimte is er. Een bestaande berkenboom fungeert direct als natuurlijke parasol. Parkeren kan op eigen terrein, achterin grenst het perceel aan een groene strook met bomen en weilanden en heb je vrij uitzicht op de molen van Loppersum. Een unieke, rustgevende plek om te ontspannen of te spelen.
Woonomgeving
Loppersum is een levendig dorp met ongeveer 2.500 inwoners en een compleet aanbod aan voorzieningen: supermarkt, scholen, kinderopvang, bibliotheek, sportverenigingen, wellness, horeca en een zoutwaterzwembad. De trein- en busverbindingen met Groningen en Delfzijl zijn uitstekend en via de N46 ben je binnen twintig minuten in de stad.
Bijzonderheden
• Bouwjaar 2024/2025 (Dijkstra Draisma)
• Woonoppervlakte ca. 133 m²
• Perceeloppervlakte 508 m²
• Energielabel A+++
• Volledig gasloos
• Vloerverwarming op de begane grond
• Warmtepomp (Nibe) en zonnepanelen
• Moderne keuken met composieten blad en inbouwapparatuur
• Luxe badkamer met ligbad, inloopdouche, toilet en wastafelmeubel
• Parkeren op eigen terrein
• Gelegen in beschermd dorpsgezicht
• Sfeerimpressies tonen mogelijke afwerkingen
Een unieke kans om duurzaam, comfortabel en toch karaktervol te wonen in het hart van Loppersum. Deze moderne woning combineert licht, ruimte en historie op een manier die je moet komen ervaren.
De ruimte, de vide, het licht… dit moet je gewoon in het echt zien. Je bent welkom voor een bezichtiging.
Ligging
De woning staat op een bijzondere plek, midden in het beschermde dorpsgezicht van Loppersum. Aan de voorzijde kijk je uit op Villa Zuidven en het grachtje van de Schipsloot; om de hoek staat de karakteristieke 11e-eeuwse Lopster toren. Alle dagelijkse voorzieningen liggen op loopafstand: winkels, supermarkt, basisschool, kinderopvang, huisarts, tandarts én het gemeentehuis. Ook het zoutwaterbad KP Zijl bevindt zich vlakbij. Loppersum is uitstekend bereikbaar met trein, bus en auto — Groningen ligt op nog geen twintig minuten afstand.
Architectuur en afwerking
Het ontwerp sluit fraai aan bij de klassieke uitstraling van het dorp: een karakteristieke rode bakstenen gevel, gecombineerd met een zwart pannendak. De achterzijde verrast met Douglas-houten gevelbekleding, waardoor de woning een moderne twist krijgt. Binnen is gekozen voor een rustige, lichte afwerking met scanbehang in RAL 9002, witte paneeldeuren en een strak geschilderde trap.
Indeling
Begane grond: Via de zij-entree kom je binnen in een ruime hal met een open verbinding naar zowel de woonkamer als de woonkeuken. De centrale bijkeuken/tussenhal is praktisch ingedeeld met een separaat toilet, witgoedaansluitingen, technische installaties en schuifdeuren.
De tuingerichte woonkeuken vormt het hart van de woning: een vide van bijna 6 meter hoog, veel licht door de dakramen en openslaande deuren naar de tuin. De moderne IKEA-keuken is uitgevoerd in stijlvol groen met een zwart composieten werkblad en voorzien van diverse inbouwapparatuur.
De riante woonkamer aan de straatzijde (ca. 42 m²) heeft grote ramen en biedt een prettig uitzicht. Dankzij de open structuur is er ook vanuit de woonkamer contact met de keuken en zicht op de tuin.
Eerste verdieping: De open opzet van de begane grond zet zich voort op de verdieping. Vanaf de overloop kijk je weer richting de centrale hal. De badkamer, gelegen in de middenkolom van het huis, is smaakvol vormgegeven in zand-, witte en mintgroene tinten en uitgerust met een ruime inloopdouche, ligbad, wastafelmeubel en toilet. Het raam met doorkijk naar de vide zorgt voor extra licht en een bijzonder ruimtelijk gevoel.
De twee ruime slaapkamers (ca. 14 en 16 m²) liggen aan de voorzijde en beschikken over hoge plafonds en dakramen. Uiteraard is het mogelijk om de grote slaapkamer op te delen.
Buitenruimte
De diepe achtertuin — in totaal circa 50 meter — ligt op het noorden en biedt volop mogelijkheden voor een eigen invulling. Of je nu droomt van een veranda, siertuin, vijver, terras of veel groen: de ruimte is er. Een bestaande berkenboom fungeert direct als natuurlijke parasol. Parkeren kan op eigen terrein, achterin grenst het perceel aan een groene strook met bomen en weilanden en heb je vrij uitzicht op de molen van Loppersum. Een unieke, rustgevende plek om te ontspannen of te spelen.
Woonomgeving
Loppersum is een levendig dorp met ongeveer 2.500 inwoners en een compleet aanbod aan voorzieningen: supermarkt, scholen, kinderopvang, bibliotheek, sportverenigingen, wellness, horeca en een zoutwaterzwembad. De trein- en busverbindingen met Groningen en Delfzijl zijn uitstekend en via de N46 ben je binnen twintig minuten in de stad.
Bijzonderheden
• Bouwjaar 2024/2025 (Dijkstra Draisma)
• Woonoppervlakte ca. 133 m²
• Perceeloppervlakte 508 m²
• Energielabel A+++
• Volledig gasloos
• Vloerverwarming op de begane grond
• Warmtepomp (Nibe) en zonnepanelen
• Moderne keuken met composieten blad en inbouwapparatuur
• Luxe badkamer met ligbad, inloopdouche, toilet en wastafelmeubel
• Parkeren op eigen terrein
• Gelegen in beschermd dorpsgezicht
• Sfeerimpressies tonen mogelijke afwerkingen
Een unieke kans om duurzaam, comfortabel en toch karaktervol te wonen in het hart van Loppersum. Deze moderne woning combineert licht, ruimte en historie op een manier die je moet komen ervaren.
De ruimte, de vide, het licht… dit moet je gewoon in het echt zien. Je bent welkom voor een bezichtiging.
Over dit object
Overdracht
| Status | beschikbaar |
|---|---|
| Prijs | € 425.000 k.k. |
Bouw
| Bouwjaar | 2024 |
|---|---|
| Bouwvorm | bestaande bouw |
| Type Object | Woonhuis |
| Hoofdfunctie | Woonruimte |
Indeling
| Woonoppervlakte | 133 m² |
|---|---|
| Perceeloppervlakte | 518 m² |
| Woning Inhoud | 492 m³ |
| Kamers | 4 (2 slaapkamers) |
Energie
| Energielabel | A+++ |
|---|





















































































































