
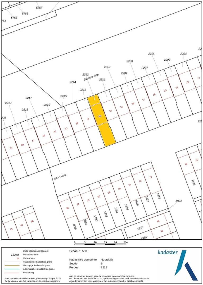
De Waard 35
Groningen
contact met
Riant Makelaars Groningen
| 050 850 33 56 | |
| info@riantmakelaars.nl | |
| 050 850 33 56 | |
| Hereweg 29, 9725 AA Groningen |
In de populaire woonwijk Ruischerwaard vind je deze ruime, moderne woning met drie slaapkamers en een ruime zolder. Als kers op de taart kun je hier wonen aan het water! Zowel aan de voor- als achterzijde heb je een fijne tuin. In de middag kun je volop genieten van de zon in de voortuin en later in de middag en de avond kun je nog fijn aan het water genieten van de laatste zonnestralen. Heerlijk om de dag zo af te sluiten op de vlonder. Dankzij de ruimte is dit de ideale woning voor gezinnen en daarnaast kun je hier modern én energiezuinig wonen.
De woning is gelegen aan De Waard; een straat grenzend aan het water en de Rijksweg. De wijk kenmerkt zich als een fijne, kindvriendelijke wijk en alle voorzieningen heb je in de nabijgelegen wijken Oosterhogebrug en Lewenborg. Met een kwartiertje fietsen ben je in de binnenstad van Groningen en mocht je de auto pakken, rij je zo de ringweg op.
INDELING
Begane grond: entree/hal, toiletruimte (2023), lichte woonkamer van ca. 26 m² met deur naar de achtertuin aan het water. De open keuken heeft een moderne keukenopstelling met een riant kookeiland voorzien van inductiekookplaat met afzuiging, wasbak, vaatwasser en veel kastruimte. Verder heeft de keuken nog een inbouw koelkast en combimagnetron. Dankzij de keukenopstelling kun je hier heerlijk koken! Of je nou alleen wil koken of in gezelschap van bezoek. De keuken heeft openslaande deuren naar de voortuin, welke is gelegen op het zonnige zuiden.
Eerste verdieping: overloop, toiletruimte (2023), drie slaapkamers van ca. 15, 9 en 8 m², moderne badkamer (2019) met ligbad, inloopdouche en wastafelmeubel met dubbele wastafel.
Tweede verdieping: zeer riante zolderruimte van ca. 33 m² met witgoedaansluiting en cv-opstelling. Het is mogelijk om hier nog één of twee extra slaapkamer(s) te realiseren.
BUITENRUIMTE
De achtertuin grenst aan het water en hier heb je in de zomer de avondzon; heerlijk om na een lange dag nog aan het water te zitten met een drankje. Vanaf hier is het mogelijk om te suppen of met een bootje op pad te gaan. De voortuin biedt de ochtend- en middagzon. Hier bevindt zich ook de vrijstaande berging van ca. 8 m² en een eigen parkeerplek.
GOED OM TE WETEN
- ruime gezinswoning waar je zo in kunt;
- wonen aan het water;
- gemoderniseerd in 2019 en 2023;
- beide toiletten vernieuwd in 2023;
- ruime zolder is in te delen als slaapkamer(s);
- deels kunststof kozijnen met HR++ beglazing;
- voorzien van 6 zonnepanelen;
- cv-ketel Vaillant (eigendom);
- aanvaarding in overleg.
De woning is gelegen aan De Waard; een straat grenzend aan het water en de Rijksweg. De wijk kenmerkt zich als een fijne, kindvriendelijke wijk en alle voorzieningen heb je in de nabijgelegen wijken Oosterhogebrug en Lewenborg. Met een kwartiertje fietsen ben je in de binnenstad van Groningen en mocht je de auto pakken, rij je zo de ringweg op.
INDELING
Begane grond: entree/hal, toiletruimte (2023), lichte woonkamer van ca. 26 m² met deur naar de achtertuin aan het water. De open keuken heeft een moderne keukenopstelling met een riant kookeiland voorzien van inductiekookplaat met afzuiging, wasbak, vaatwasser en veel kastruimte. Verder heeft de keuken nog een inbouw koelkast en combimagnetron. Dankzij de keukenopstelling kun je hier heerlijk koken! Of je nou alleen wil koken of in gezelschap van bezoek. De keuken heeft openslaande deuren naar de voortuin, welke is gelegen op het zonnige zuiden.
Eerste verdieping: overloop, toiletruimte (2023), drie slaapkamers van ca. 15, 9 en 8 m², moderne badkamer (2019) met ligbad, inloopdouche en wastafelmeubel met dubbele wastafel.
Tweede verdieping: zeer riante zolderruimte van ca. 33 m² met witgoedaansluiting en cv-opstelling. Het is mogelijk om hier nog één of twee extra slaapkamer(s) te realiseren.
BUITENRUIMTE
De achtertuin grenst aan het water en hier heb je in de zomer de avondzon; heerlijk om na een lange dag nog aan het water te zitten met een drankje. Vanaf hier is het mogelijk om te suppen of met een bootje op pad te gaan. De voortuin biedt de ochtend- en middagzon. Hier bevindt zich ook de vrijstaande berging van ca. 8 m² en een eigen parkeerplek.
GOED OM TE WETEN
- ruime gezinswoning waar je zo in kunt;
- wonen aan het water;
- gemoderniseerd in 2019 en 2023;
- beide toiletten vernieuwd in 2023;
- ruime zolder is in te delen als slaapkamer(s);
- deels kunststof kozijnen met HR++ beglazing;
- voorzien van 6 zonnepanelen;
- cv-ketel Vaillant (eigendom);
- aanvaarding in overleg.
Over dit object
Overdracht
| Status | verkocht |
|---|---|
| Prijs | € 450.000 k.k. |
Bouw
| Bouwjaar | 1997 |
|---|---|
| Bouwvorm | bestaande bouw |
| Type Object | Woonhuis |
| Hoofdfunctie | Woonruimte |
Indeling
| Woonoppervlakte | 129 m² |
|---|---|
| Perceeloppervlakte | 143 m² |
| Woning Inhoud | 427 m³ |
| Kamers | 5 (3 slaapkamers) |
Energie
| Energielabel | A |
|---|





























































































