
Boterdiep Oz 19
Zuidwolde
contact met
Riant Makelaars Bedum
| 050 301 3775 | |
| bedum@riantmakelaars.nl | |
| 050 8503356 | |
| Molenweg 22, 9781 GM Bedum |
Op een geweldige locatie vlak aan het Boterdiep, staat deze fantastisch lichte en instapklare hoekwoning met twee slaapkamers, fraai aangelegde tuin en een vrijstaande garage plus twee parkeerplaatsen. De woning is uitstekend onderhouden en door de jaren heen gemoderniseerd met onder andere een nieuwe badkamer en keuken (2023). Met 10 zonnepanelen, volledig geïsoleerd, HR++ beglazing en vloerverwarming kun je hier energiezuinig wonen. Deze mooie woning is om door een ringetje te halen en biedt volop comfort!
Zuidwolde is een gezellig dorp met eetgelegenheid en een basisschool. Binnen 20 minuten fietsen sta je op de Grote Markt en binnen een paar autominuten zit je op de Ring van Groningen. De omgeving biedt mogelijkheid om heerlijk te wandelen en te fietsen.
INDELING
Begane grond: ruime entree/bijkeuken van ca. 11 m² met witgoedaansluiting en vaste kast, hal met toegang tot de moderne toiletruimte en badkamer die beide zijn vernieuwd in 2023. De lichte woonkamer met erker is ca. 33 m² en is volledig voorzien van vloerverwarming met PVC vloer. Vanuit de kamer is de toegang tot het zonnig terras met overkapping welke is gelegen op het zuidwesten en prachtig uitzicht biedt op het Boterdiep. De halfopen keuken is voorzien van een moderne keukenopstelling (2023) met o.a. een inductiekookplaat met ingebouwde afzuigsysteem, oven en vaatwasser. De SMEG koel-vriescombinatie is ter overname.
Eerste verdieping: slaapkamer van ca. 10 m², bergruimte voorzien van cv-opstelling, slaapkamer van ca. 13 m² met kastruimte. Beiden voorzien van Velux dakramen met kunststof kozijnen.
BUITENRUIMTE
De nette achtertuin is gelegen op het zuidwesten, waardoor je de gedurende dag lekker in de zon kunt zitten. De overkapping aan de woning biedt de mogelijkheid om beschut te zitten, in de schaduw of als het minder weer wordt. Aan de voorzijde beschikt de woning over een terrein met plek voor 2 auto's te parkeren en een vrijstaande garage/berging.
GOED OM TE WETEN
- moderne hoekwoning, instapklaar;
- aan voorzijde uitgebouwd in 2022;
- parkeren voor de deur met plek voor 2 auto's;
- begane grond is voorzien van vloerverwarming en PVC vloer;
- keuken, toilet en badkamer zijn vernieuwd in 2023;
- voorzien van 10 zonnepanelen (2022);
- volledig geïsoleerd en voorzien van HR++ glas;
- bodemisolatie Drowa chips 50 cm gehele woning 2024;
- voorzien van energielabel A;
- cv-ketel Remeha 2019 (eigendom);
- nieuwe meterkast geplaatst in 2022;
- vrijstaande stenen garage/berging;
- aanvaarding in overleg.
Zuidwolde is een gezellig dorp met eetgelegenheid en een basisschool. Binnen 20 minuten fietsen sta je op de Grote Markt en binnen een paar autominuten zit je op de Ring van Groningen. De omgeving biedt mogelijkheid om heerlijk te wandelen en te fietsen.
INDELING
Begane grond: ruime entree/bijkeuken van ca. 11 m² met witgoedaansluiting en vaste kast, hal met toegang tot de moderne toiletruimte en badkamer die beide zijn vernieuwd in 2023. De lichte woonkamer met erker is ca. 33 m² en is volledig voorzien van vloerverwarming met PVC vloer. Vanuit de kamer is de toegang tot het zonnig terras met overkapping welke is gelegen op het zuidwesten en prachtig uitzicht biedt op het Boterdiep. De halfopen keuken is voorzien van een moderne keukenopstelling (2023) met o.a. een inductiekookplaat met ingebouwde afzuigsysteem, oven en vaatwasser. De SMEG koel-vriescombinatie is ter overname.
Eerste verdieping: slaapkamer van ca. 10 m², bergruimte voorzien van cv-opstelling, slaapkamer van ca. 13 m² met kastruimte. Beiden voorzien van Velux dakramen met kunststof kozijnen.
BUITENRUIMTE
De nette achtertuin is gelegen op het zuidwesten, waardoor je de gedurende dag lekker in de zon kunt zitten. De overkapping aan de woning biedt de mogelijkheid om beschut te zitten, in de schaduw of als het minder weer wordt. Aan de voorzijde beschikt de woning over een terrein met plek voor 2 auto's te parkeren en een vrijstaande garage/berging.
GOED OM TE WETEN
- moderne hoekwoning, instapklaar;
- aan voorzijde uitgebouwd in 2022;
- parkeren voor de deur met plek voor 2 auto's;
- begane grond is voorzien van vloerverwarming en PVC vloer;
- keuken, toilet en badkamer zijn vernieuwd in 2023;
- voorzien van 10 zonnepanelen (2022);
- volledig geïsoleerd en voorzien van HR++ glas;
- bodemisolatie Drowa chips 50 cm gehele woning 2024;
- voorzien van energielabel A;
- cv-ketel Remeha 2019 (eigendom);
- nieuwe meterkast geplaatst in 2022;
- vrijstaande stenen garage/berging;
- aanvaarding in overleg.
Over dit object
Overdracht
| Status | verkocht |
|---|---|
| Prijs | € 319.000 k.k. |
Bouw
| Bouwjaar | 1971 |
|---|---|
| Bouwvorm | bestaande bouw |
| Type Object | Woonhuis |
| Hoofdfunctie | Woonruimte |
Indeling
| Woonoppervlakte | 96 m² |
|---|---|
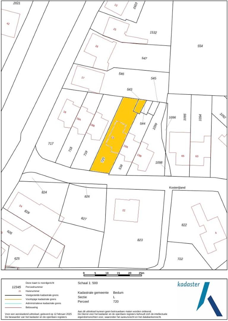
| Perceeloppervlakte | 306 m² |
| Woning Inhoud | 376 m³ |
| Kamers | 3 (2 slaapkamers) |
Energie
| Energielabel | A |
|---|




































































































